COMMERCIAL LAND FOR SALE JALAN PAYA TERUBONG AIR HITAM PENANG
-
RM 6,855,000
- No Bedroom
- No Bathroom
- 36,081 Sq. Ft.
- Commercial Land
- Paya Terubong, Penang
- 3 years ago
Description
ASKING PRICE
RM6,855,000.00
NEGOTIABLE (RM190 PSF)
PROPERTY PROFILE
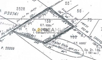
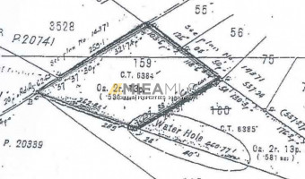
The land
area is 36,081 square feet.
A 99 years leasehold
tenure
Vacant unit
(as is basis).
BRIEF ABOUT THE SUBJECT PROPERTY & SURROUNDING:
Land use
category is for building.
It is
located at Air Hitam, Jalan Paya Terubong, northeast of Penang. Situated in Mukim 14, District of Timor Laut,
State of Penang. It’s barren land of
more or less flat conditions of between 18 m to and 20 m altitude (above sea
level). To the north, east and south
appears to be mixed development. Whereas, about 2 km further south, condominium
and apartment schemes seems dominating the market.
The location
of the lot near the highway is expected to add premium value to the
property. The subject property
accessible directly from Seberang Prai via the Penang Bridge – Thean Teik
Expressway within 47 km or 43 minutes of driving time. It can also be connected
via the 2nd Penang Bridge and is approximately 53 km or 50 minutes
away driving time.
It is well
known that the land supply for development in Penang is very limited. As for the price is very expensive. Overlooking the main road, appears to be the
site hoarding of the big scale development project labeled as Sunway Valley by
Sunway Group soon or later, the aforementioned subject property and it’s
surrounding area will benefit from spill over impact of the development.
GPS COORDINATES:
5.375961,100.275252
GOOGLE MAPS LINK:
https://www.google.com.my/maps/@5.3760634,100.2756623,3a,75y,269.11h,89.62t/data=!3m7!1e1!3m5!1sWgYlW4SC2cHS1bT0F5kR_g!2e0!6s%2F%2Fgeo0.ggpht.com%2Fcbk%3Fpanoid%3DWgYlW4SC2cHS1bT0F5kR_g%26output%3Dthumbnail%26cb_client%3Dmaps_sv.tactile.gps%26thumb%3D2%26w%3D203%26h%3D100%26yaw%3D323.5909%26pitch%3D0%26thumbfov%3D100!7i13312!8i6656
Potential
buyer can make a reasonable offer/bid for vendor’s consideration based on first
come first serve basis.
Upon
confirmation to purchase, please provide earnest deposit amounting to 3% of
purchase price + 6% of Government service tax shall be made to RMZ PROPERTY
CONSULTANTS as Vendor’s stakeholder
Specification
- Sub Sale
- Leasehold
- Vacant
- Commercial
- 36,081 Sq. Ft.
- 36,081 x 1 Sq. Ft.
Property Address
The address of the displayed propertyShare This Exclusive Listing

